11/19(水)青物五目乗合
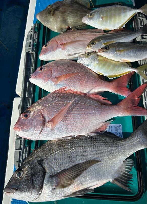
アジ・イサキ・カイワリ 2〜12尾15〜23cm
マダイ・ハナダイ 1〜3尾
イナダ、クロダイ、ソーダガツオ
カワハギ、カサゴ、オオモンハタなど
青物五目乗合船で出船しました!
イナダは顔見る感じで
後半にマダイ、ハナダイ、クロダイなどぽつらぽつら釣れたりと他も五目釣りって感じでした!
11/21(金)は青物五目乗合で出船確定!
11/22(土)は満席となりました。
11/24(月)はまだお席ございます!
皆様からのご予約をお待ちしております。
11/25(火)からタイ五目乗合船スタート!
LT中深場五目乗合の受付もいたしますので
皆様からのご予約をお待ちしております!
⬛︎青物五目乗合船
11/19(水)、11/21(金)
11/22(土)、11/24(月)11/29出船確定!
ご乗船お待ちしております。
ご予約をお待ちしております。
⬛︎
⬛︎スポットLT中深場五目乗合
11/28(金)出船確定!
ご予約をお待ちしております!
⬛︎スポットアマダイ五目乗合
11/30(日)出船確定!
11/21(金)青物五目乗合で出船確定!リクエスト船・仕立船予約可能!
11/22(土)青物五目乗合で出船確定!リクエスト船・仕立船予約可能!
11/23(日)仕立船。
11/24(月)青物五目乗合で出船確定!リクエスト船・仕立船予約可能!
11/25(火)タイ・アマダイ五目乗合・LT中深場五目乗合船で出船予定!リクエスト船・仕立船予約可能!
11/26(水)仕立船!リクエスト船・仕立船予約可能!
11/27(木)タイ・アマダイ五目乗合・LT中深場五目乗合船で出船予定!リクエスト船・仕立船予約可能!
11/28(金)LT中深場五目乗合船で出船確定!リクエスト船・仕立船予約可能!
11/29(土)タイ五目乗合で出船確定!リクエスト船・仕立船予約可能!
11/30(日)スポット五目乗合で出船確定!リクエスト船・仕立船予約可能!
#海#釣り#魚#秋田屋#湘南 #鎌倉
#江ノ島#船 #趣味 #趣味の時間


